こんにちは!
本日の富戸ヨコバマは快晴♪
海もとっても穏やかなダイビング日和(≧▽≦)
そんな今日は体験ダイビングに行ってきました!
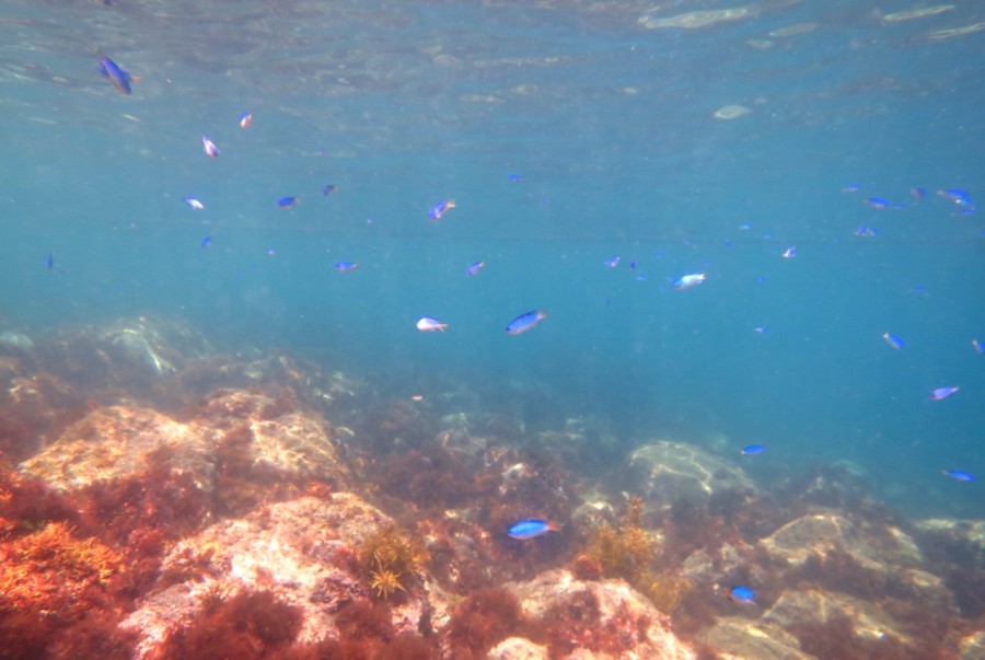
水温は 21℃ 透明度は ~12m
浅場は光のカーテン!!
ソラスズメダイもキラキラです♪

穏やかな今日はちょっと潮が引いていましたが
富戸ホールへ~~ 光の柱がくっきり(^O^)

イソギンチャク畑でクマノミやミツボシクロスズメダイを見たり
中層のキビナゴの群と遊んだりと
陸上では味わえない体験をしてきました\(^o^)/
海って本当にいいですね♪



