こんばんは~♪
本日8月9日(金)も富戸は、うっすらとウネリが入ってきてますが、ほぼ穏やかな1日でした!
水中は、水温24℃ 透明度~12m
水中の賑わいを楽しむならイソギンチャク畑の浅瀬♪
キビナゴの大群にカンパチの子供の浅瀬タックが楽しめます♪

浅瀬は南国の様にフエヤッコダイにツノハタタテダイ♪
イソギンチャク畑は新しい卵を守るクマノミペアや親子の仲良しペア♪

砂地にはもじゃもじゃのカミソリウオは1匹で風来坊の様に移動してますよ~

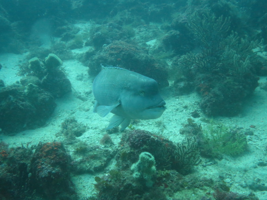
たま~にフラっと来るコブダイさん。
愛想がよくカメラ目線バッチリです♪

エキジット周りは毎年くる南の子♪メガネスズメダイの幼魚も出てきましたよ~!
浅瀬には1日1匹新しい南の子との出会いがあり♪
毎日が宝探しの様ですよ!(^^)!

今のカラフルなヨコバマを楽しんで見て下さ~い!



