皆様、こんにちは♪
ドルフィンウェーブでございます\(^o^)/
2020年ドルフィンウェーブ大物天国パラオツアー行ってまいりました!!!
期待通りの海!大物\(◎o◎)/!
7日間のツアー12ダイブ満喫してまいりました♪
青い海に底の見えないドロップオフを飛ぶように浮遊してドリフトしてきました!!
初日は1ダイブ全ての時間をマンタと遊ぶスタート!!!
他にもタイマイやアオウミガメと一緒に写真を撮ったり
グレーリーフシャーク、ホワイトチップシャークをカレントフックを使って楽々撮影♪
ナポレオンはずーーとダイバーが気になって追っかけてくる^^v
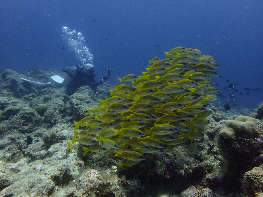
ギンガメアジ大群、バラクーダ群れ、カスミチョウチョウウオ群れ、ヨスジフエダイ群れワイド満載!
!
最高の海でした\(^o^)/
帰国は経由地台湾で中正記念堂を見学して小龍包を食べてプチ台北ツアーもして参りました\(^o^)/
ご参加いただきました皆様、有難うございました!!
ご一緒出来て最高でした♪♪
また是非行きしょう!!
そしてご参加できなかった方々是非次回はご一緒しましょう^^v
- DSC_0696





























































































































































































































































































































































































































































