皆様、こんばんは!
ドルフィンウェーブコンシェルジュ本田でございます♪
本日12日の富戸の海はとても穏やかで最高でした!
水温19.8℃ 透明度15m
~~只今3ダイブキャンペーン実施中です♪~~
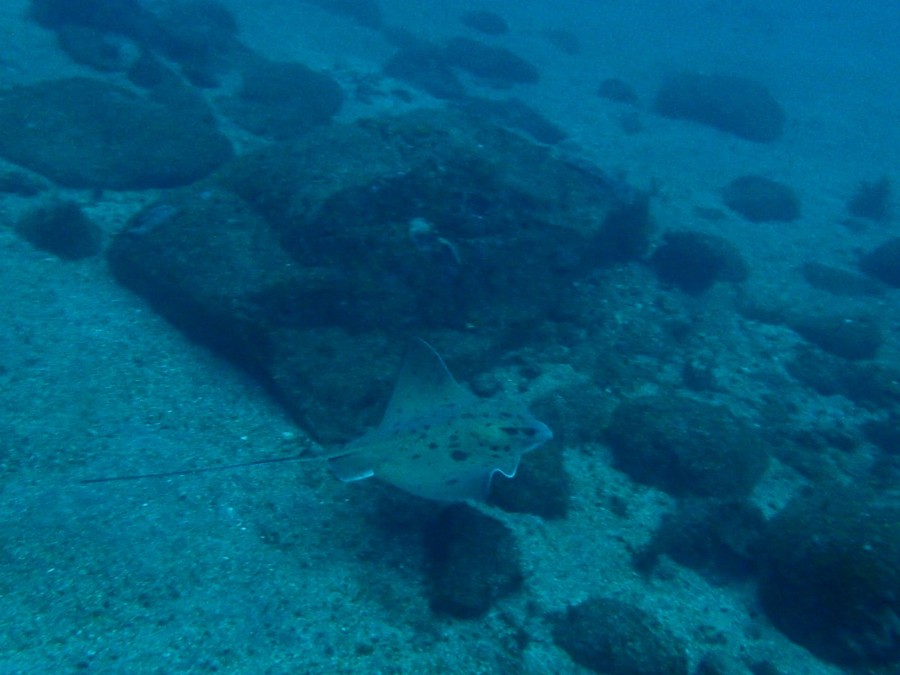
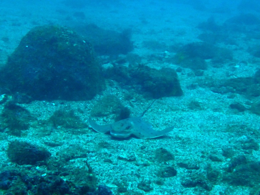
今年初めてのレイポイント!!
1.2.3.…10枚 もう数えるのやめちゃいました(笑)
トビエイ三昧!!
大きいのから

小さいの

接近戦を挑んでくるものと

沢山のトビエイ達が待っていてくれました!!

今日は見れませんでしたが、ドチザメ、ネコザメ、ウミガメ等々が見れるポイント\(^o^)/
リクエストお待ちしております♪
ビーチも可愛い子達も相変わらずです!
クマドリカエルアンコウ(白)

クダゴンベ、

スケロクウミタケハゼ、

ウミテング等々観察できてまーーーす^^v

ボートにビーチ見る物盛り沢山の富戸の海
是非、3ダイブキャンペーンで沢山の生物達に
癒されてもらってくださ~い^^v
お待ちしております\(^o^)/



