皆様、こんばんは!
ドルフィンウェーブ富戸チームでございます。
本日も夏日!!
青い海到来\(^o^)/
ビーチにボート潜ってきました
透明度8~15m 水温21~27℃
水面近くは青い海透明度15m以上といって良い位の温かさ
ボートは潜行するとイサキの大群が待ってました!!

イサキがこんな目の前を\(◎o◎)/!

アオウミガメものーーんびりしてました♪

キンギョハナダイの乱舞は相変わらず

埋もれてしまいそうです。
ビーチに移るとカンパチ&ワラサがイワシ稚魚を捕食!!

これだけでも時間が欲しいのに。。。
浅場のテンジクダイ系幼魚を見てても青い海が気になります\(^o^)/

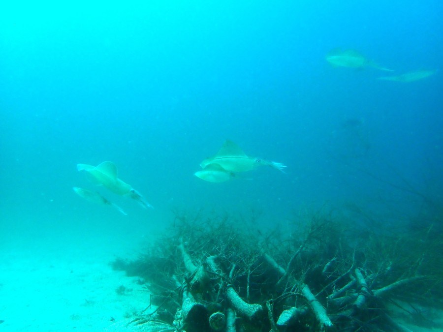
アオリイカ今日は8杯が産卵シーンを見せてくれました♪

今日のUPはビーチ、ボート共に群れが中心でしたが、可愛い子達も健在ですよ~
ハタタテハゼ、ガラスハゼ、ヒレナガネジリンボウ、タツノイトコ、ウミテング等々見れてます!
盛り沢山過ぎて困っちゃいます♪
この夏の海を堪能して下さい!!
お待ちしております!!



