皆様、こんばんは
ドルフィンウェーブでございます!
本日4日も富戸は快晴!
海はうねりは若干ありましたが問題なくビーチにボート行ってきました♪
透明度8〜10m 水温18~19℃
本日のボートはピラミッドとレイポイントへ行ってきました\(^o^)/
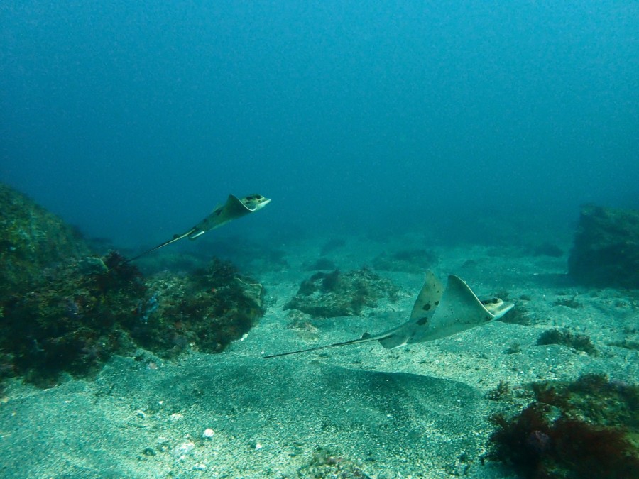
今月からオープンになった「レイポイント」はトビエイ沢山♪

砂地にぺたり、

警戒心が強いのが右から飛んできたり、

左から飛んできたりとお腹一杯見れました!

「ピラミッド」もお腹一杯になる位の群れ三昧

漁礁を覆い見えなくなるくらいでした!

3ダイブキャンペーンを使って
1ビーチ2ボートでビーチの可愛い子と
群れ、トビエイをリクエストして下さい!!
お待ちしております



