皆様、ドルフィンウェーブでございます。
本日16日も暖かな一日、海の中も楽しい事盛り沢山でした\(^o^)/
透明度10~12m 水温15.8℃
本日の目玉はボラクーダ\(^o^)/

なんとその時私は岩の隙間を覗いてフタイロハナゴイを紹介してました^^;
その時後ろから歓声が上がり、慌てて見上げると
ボラーーーーーーー\(^o^)/

水中の声って意外と聞こえるんですよ^^;
見逃さずに良かった~
ボラクーダ!!!

テトラポットには可愛い子達の群れだって負けてない!

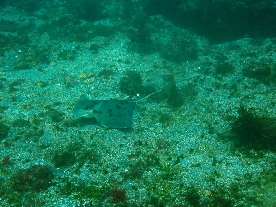
限定ボートポイントに行けばトビエイ沢山!

あっちにも、こっちにも

突然の出会いがあるのがダイビングの楽しみ♪
可愛い生物を何度も見るのも楽しい!
色々な楽しみ方で一緒に潜りましょう\(^o^)/
お待ちしてまーす♪



