こんにちは~!
本日23日の富戸はとっても穏やか♪
水中は水温21~25℃ 透明度~12m
どんどん透明度が回復してあたり一面イワシの大群で眩しいです!

浅瀬全部って言っていいほどの数だからカンパチの子供達もアタックに大忙し(笑)

みんな捕食で大きく育ってきてます

イワシが凄すぎてうっかり目線を落とすのを忘れますが、
ネジリンボウとヒレナガネジリンボウのペアもご機嫌に巣穴からでてきてたり♪

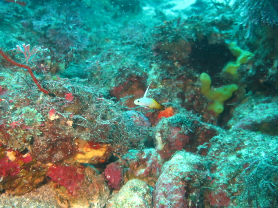
温かくなってきたのでハタタテハゼもホバーリング♪

岩陰のミナミハコフグの幼魚達も増えてきてますよ~

やっぱり富戸は魚影が濃いです!
この夏らしい最高の海を是非満喫してくださ~い(^^)/



