皆様、こんにちは!
ドルフィンウェーブでございます♪
本日16日の富戸は快晴!日向にいるとポカポカです!
水温もまだ22℃なのでウエットスーツでも潜れていますが、
ドライスーツもこの時期にスタートさせておけば冬も安心ですよ~^^v
水温:22~23℃ 透明度:15m
絶好調の富戸ヨコバマ!
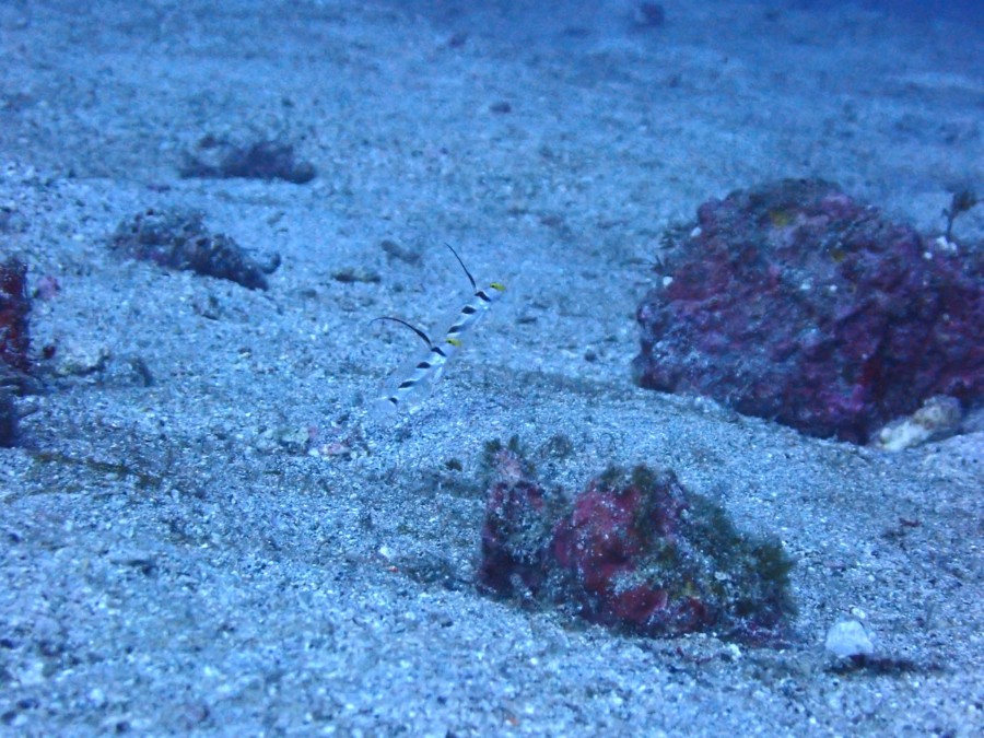
本日はハゼ三昧でした\(^o^)/
リクエスト頂きましたホタテツノハゼ♪
寄っても隠れない良い子です。

ヤシャハゼに

ネジリンボウペア

ヒレナガネジリンボウペア♪

一番びっくりしたのは10匹以上のムレハタタテハゼならぬ、ハタタテハゼの群れ♪
数匹フレームに入りきりませんでした。

他にもソラスズメダイ大群、キンギョハナダイ群れ、、ヨスジフエダイ群れ、ナンヨウツバメウオ幼魚群れ、1円玉より気持ち大きめのマツカサウオ、イバラタツ他沢山の生物が見れてます!!
じっくり狙って写真を撮っていてもドライスーツなら寒さ知らず!
ドライスーツで快適ダイビング♪
ドルフィンウェーブではドライスーツを含めてフル器材レンタル無料実施中です\(^o^)/
お待ちしております!!



