皆様 こんにちは(^-^)/
行ってきました!!ヨロンブルー
ドルフィンウェーブ与論島ツアー 2024\(^o^)/
ドンピシャで梅雨明けした与論島♪
鹿児島、奄美群島の北部はまだまだ梅雨まっただ中で天候は荒れ模様
無事に与論島に着けば雲一つない真夏のそのもの(*^_^*)
豪雨の影響でちょっと白っぽいよと現地の方はいいますが
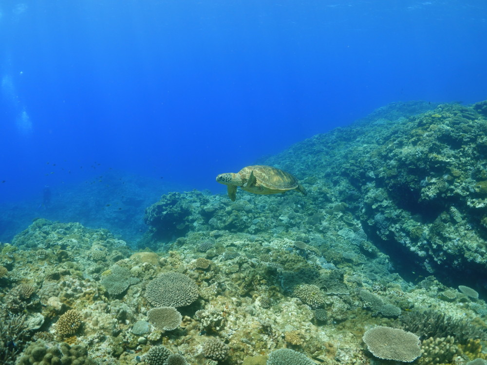
透視度30mオーバーのヨロンブルーでしたよ♪
サンゴは盛り盛り元気いっぱい
お目当ての沈船あまみ~51mの船体は大きくて大迫力!
そこにはぶっといイソマグロも登場~~
海中宮殿はちょうど誰もいなくどっぷり楽しんできました(^O^)
流れの当たるポイントではカスミチョウチョウウオやムレハタタテダイが群々
ピグミーシーホースやイソギンチャクガニなどのマクロに
カメとものんびりとランデブーしてきました(o^^o)
最終日は半日与論島ぐるりと一周綺麗な景色を見てきました♪
ご参加いただきました皆様、有難うございました!
また、いろいろな海をご一緒に楽しみましょう\(^o^)/






















































































































































