こんばんは
本日の富戸の天気は晴
海は南西の風で穏やかでした(^^)
水温は24〜27℃ 透明度6〜10m
水がだんだんと良くなって来ると群れが映えますね
カマス群れがグルグル~

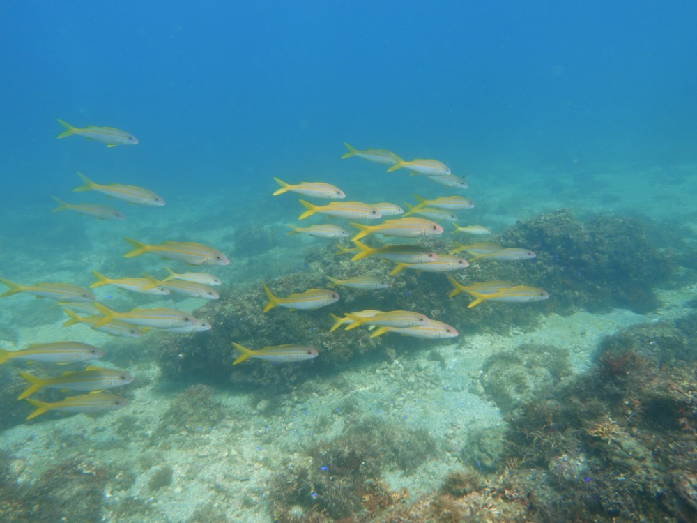
アカヒメジ~♪

燦々と降り注ぐ陽光の中アオリイカygの群れ

ボートポイントのマエカド前もキビナゴ・イワシが大群で凄いことになっていましたよ

そんな中ピンクが鮮やかなハダカハオコゼも見られました

10月5日(土)は今年最後のサザエ壺焼きステーキBBQ開催します♪
潜って食べて賑やかなの海を満喫しちゃいましょう\(^_^)/



