皆様 こんにちは(^-^)/
ダイバーの楽園パラオに行ってきました~♪
ドルフィンウェーブパラオツアー 2025\(^_^)/
10月より直行便が復活!!
早速直行便でパラオに行ってきました~~~
お昼の便で出発~その日の夜には時差のないパラオに到着!
そしてダイビング初日
1本目からブラックマンタ登場\(^_^)/
次から次へと来るマンタを間近で見られました~♪
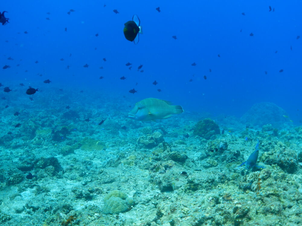
ブルーコーナーは群れだらけギンガメアジにバラクーダ、ナポレオンフィッシュ、グレーリーフシャーク~
2日目も王道のブルーコーナー、ブルーホールと潜り3本目はジャーマンチャネルへ
前半ギンガメアジやチンアナゴ見ながらマンタの登場を待っていましたがなかなか現れず
中層を探していると後半に大爆発♪時々ぐるぐるしながら、だんだんと増えていくマンタは6匹に!!
トレインのなかにはブラックマンタまで!(^^)!
そんなマンタに囲まれて500ダイブを迎えたKEIKO.Sさんおめでとうございま~す\(^_^)/
最終日はウーロン方面に~
真っ白な砂地が印象的なグラスランド♪
シアスコーナーにウーロンドロップに行ってきました!
サンゴがとっても綺麗な上にはアジ玉が(^^)
トルネードになったり色々形が変わっていつまででも見てられますね
今日もどこを潜ってもギンガメアジの群れに出会えましたよ
マダラトビエイの子供やグレーリーフシャークもウヨウヨでした(o^^o)
もちろん旅は食事も楽しみ、夜は毎日地ビールで乾杯!!
地の食材の物やエスニック料理など色々食べて飲んでお腹いっぱいになりました!!
恐るべしパラオの海!(^^)!5日間海もお腹も大満喫しました\(^o^)/
ご参加いただきました皆様ありがとうございました!
またいろいろな海をご一緒に楽しみに行きましょう!(^^)!



























































































































